For more information regarding the value of a property, please contact us for a free consultation.
8000 Cascade SE Road Ada, MI 49301
Want to know what your home might be worth? Contact us for a FREE valuation!

Our team is ready to help you sell your home for the highest possible price ASAP
Key Details
Property Type Vacant Land
Sub Type Acreage
Listing Status Sold
Purchase Type For Sale
Municipality Cascade Twp
MLS Listing ID 19008809
Sold Date 01/09/20
Annual Tax Amount $1,468
Tax Year 2018
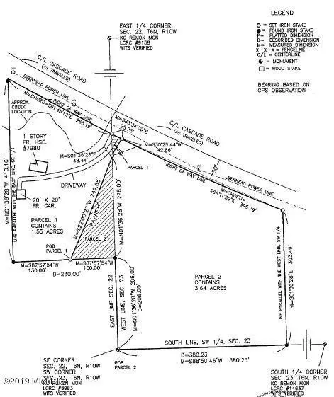
Lot Size 3.640 Acres
Acres 3.64
Lot Dimensions 396X303X380X206X100X285
Property Sub-Type Acreage
Source Michigan Regional Information Center (MichRIC)
Property Description
Beautiful parcel of land consisting of 3.64 acres! Can be split per Cascade Twp. Mature woods, Private Setting, Rolling Hills! Great Location as it is located in Cascade Township with easy access to shopping, highways, restaurants and more! Perked! Located just south of Whitneyville and Cascade Road. (Buyer should confirm split with Cascade Twp and Buyer will need to obtain their own septic permit).
Location
State MI
County Kent
Area Grand Rapids - G
Direction Off Cascade Road just East of Buttrick
Exterior
View Y/N No
Topography {High Bank=true, Ravine=true, Rolling Hills=true}
Street Surface Paved
Building
Lot Description Buildable, Wooded
Schools
School District Lowell
Others
Tax ID 411923300057
Acceptable Financing Cash, Conventional
Listing Terms Cash, Conventional
Read Less
GET MORE INFORMATION
